Physical Address
304 North Cardinal St.
Dorchester Center, MA 02124
Physical Address
304 North Cardinal St.
Dorchester Center, MA 02124

Apple quer que iPhone 20 tenha melhor câmera do mundo com nova tecnologia – Canaltech Canaltech – Notícias de Tecnologia, Ciência e Entretenimento Notícias Vídeos Podcasts Produtos Mais Canaltech Canaltech Ofertas Prêmio Canaltech Busca A Apple planeja implementar sensor de…

O ministro da Saúde, Alexandre Padilha, e a ministra das Mulheres, Márcia Lopes, lançaram nesta terça-feira (28), em Brasília, o Fórum de Mulheres na Saúde. O espaço será de debate permanente e de construção coletiva de políticas públicas voltadas às…

Hoje, o preço da moeda pi despertou entusiasmo com um salto acentuado. Depois de negociar lateralmente, o preço do Pi repentinamente estourou com um forte volume de negociação e está com tendência de alta. O catalisador? A Pi Network acaba…

O XRP avançou modestamente à medida que a atividade comercial disparou, embora os indicadores de impulso alertem para o risco de consolidação no curto prazo. Histórico de notícias O XRP subiu 0,60%, para US$ 2,623, enquanto o volume de negócios…

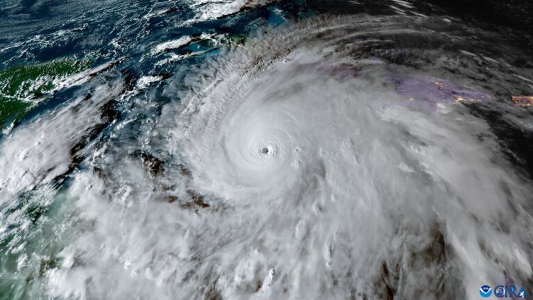
Satélites fazem imagens absurdas do furacão Melissa antes de atingir a Jamaica – Canaltech Canaltech – Notícias de Tecnologia, Ciência e Entretenimento Notícias Vídeos Podcasts Produtos Mais Canaltech Canaltech Ofertas Prêmio Canaltech Busca O furacão Melissa que se aproxima da Jamaica,…

O governador do Rio de Janeiro, Cláudio Castro, pediu nesta terça-feira (28) à Secretaria Nacional de Políticas Penais (Senapen), órgão do Ministério da Justiça, a transferência de 10 detentos presos em penitenciárias do Rio para presídios federais. Eles teriam liderado…

The Outer Worlds 2 no PC: veja requisitos para jogar – Canaltech Canaltech – Notícias de Tecnologia, Ciência e Entretenimento Notícias Vídeos Podcasts Produtos Mais Canaltech Canaltech Ofertas Prêmio Canaltech Busca Cinco anos depois do lançamento do primeiro jogo, a…

Official Trump Coin (TRUMP) está de volta aos holofotes, saltando quase 10% em um único dia para negocie em torno de US$ 7,53desafiando a queda geral do mercado de criptografia. O aumento repentino mostra como os tokens com temas políticos…

Principais conclusões Por que o BNB enfrentou pressão de baixa nas últimas horas? Apesar do preço do BNB ter saltado para US$ 1.182 na segunda-feira, a rejeição do Bitcoin em US$ 116 mil mudou o sentimento de baixa em todo…

Novo Hyundai HB20 2027 é flagrado em testes no Brasil; veja o que muda – Canaltech Canaltech – Notícias de Tecnologia, Ciência e Entretenimento Notícias Vídeos Podcasts Produtos Mais Canaltech Canaltech Ofertas Prêmio Canaltech Busca A Hyundai já está testando…

Principais conclusões Qual região viu os maiores fluxos? Os Estados Unidos têm cerca de US$ 843 milhões em entradas. Qual foi o desempenho de Solana e XRP em termos de fluxos? Solana registrou entradas de US$ 29,4 milhões e XRP…

Um dia de terror para os mais de 150 mil habitantes dos complexos da Penha e do Alemão, que passaram horas debaixo de tiros e explosões em uma operação policial que afetou também todos aqueles que precisaram transitar pelas principais…